Question: - 1 Decision Tree Strong 0.7 $18,000 Large Weak $6,000 Strong 0.7 $10,000 Small Strong Survey Weak $1,000 Strong 0.2 0.6 $18,000 Weak Survey Large




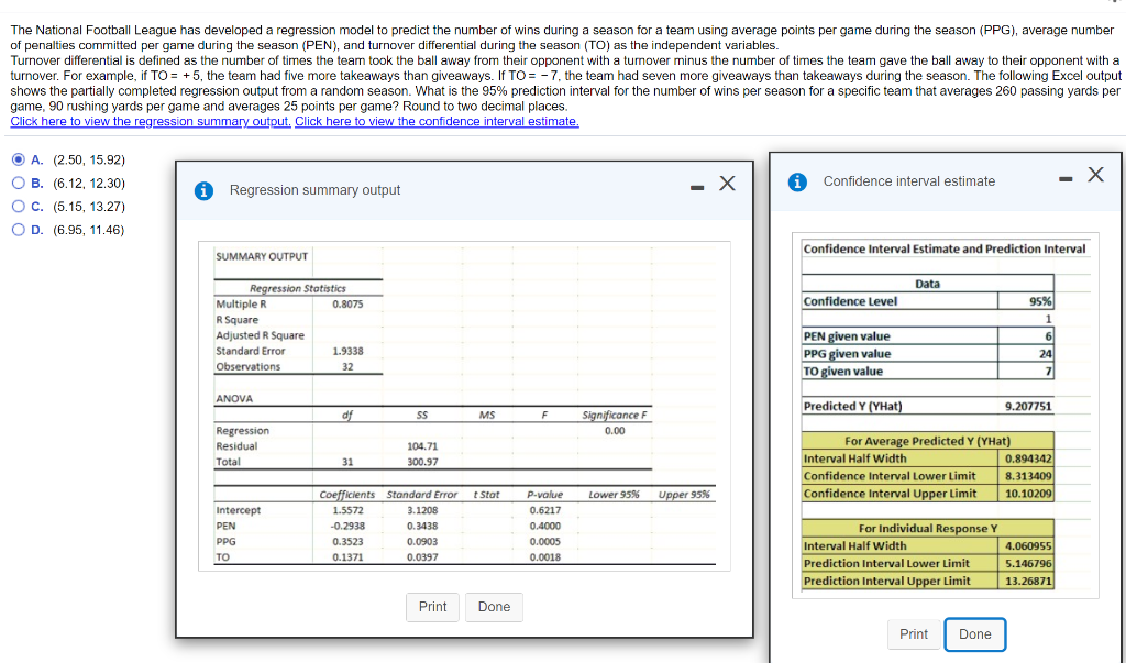
- 1 Decision Tree Strong 0.7 $18,000 Large Weak $6,000 Strong 0.7 $10,000 Small Strong Survey Weak $1,000 Strong 0.2 0.6 $18,000 Weak Survey Large Weak $6,000 Conduct Survey Strong 0.2 Small $10,000 Weak $1,000 Strong 0.4 $18,000 No Survey Large Weak -S6,000 Strong 0.4 Small $10,000 Weak $1.000 The accompanying decision tree is partially completed for a company that is deciding to build a large or small facility for a new product that will face demand that is strong or weak. The company has an option to perform a market survey that will cost $4,000 that will predict a strong or weak market. The payoffs for each combination of facility size and demand are also shown. Based on the decision tree, what should be the company's final decision? Click the icon to view the decision tree. A. Do not conduct the survey and choose to build a large facility. B. Conduct the survey and choose to build a large facility regardless of the survey results. C. Do not conduct the survey and choose to build a small facility. D. Conduct the survey and choose to build a large facility if the survey results are strong and choose to build a small facility if the survey results are weak. The following data represent the number of refrigerators sold for each of the past five months for Templeton Appliances. Using an exponential smoothing with trend adjustment technique with alpha (a) equal to 0.6 and beta () equal to 0.2, what is the mean absolute deviation? Round to one decimal place. Month 1 2 3 4. 5 Sales 25 20 40 35 30 A. 10.4 OB. 12.0 C. 7.7 O D. 6.2 The National Football League has developed a regression model to predict the number of wins during a season for a team using average points per game during the season (PPG), average number of penalties committed per game during the season (PEN), and turnover differential during the season (TO) as the independent variables. Turnover differential is defined as the number of times the team took the ball away from their opponent with a turnover minus the number of times the team gave the ball away to their opponent with a turnover. For example, if TO= +5, the team had five more takeaways than giveaways. If TO = -7, the team had seven more giveaways than takeaways during the season. The following Excel output shows the partially completed regression output from a random season. What is the 95% prediction interval for the number of wins per season for a specific team that averages 260 passing yards per game, 90 rushing yards per game and averages 25 points per game? Round to two decimal places. Click here to view the regression summary output. Click here to view the confidence interval estimate. - i Confidence interval estimate - O A. (2.50, 15.92) OB. (6.12, 12.30) O C. (5.15, 13.27) OD. (6.95, 11.46) * Regression summary output SUMMARY OUTPUT Confidence Interval Estimate and Prediction Interval Data Confidence Level Regression Statistics Multiple R 0.8075 R Square Adjusted R Square Standard Error 1.9338 Observations 32 PEN given value PPG given value TO given value 95% 1 6 24 7 ANOVA Predicted Y (YHat) 9.207751 df SS MS F Significance F 0.00 Regression Residual Total 104.71 300.97 31 For Average Predicted Y (YHat) Interval Half Width 0.894342 Confidence interval Lower Limit 8.313409 Confidence interval Upper Limit 10.10209 Stot Lower 95% Upper 95% Intercept PEN PPG TO Coefficients Standard Error 1.5572 3.1208 -0.2938 0.3438 0.3523 0.0903 0.1371 0.0397 P-value 0.6217 0.4000 0.0005 0.0018 For Individual Response Y Interval Half Width Prediction Interval Lower Limit Prediction Interval Upper Limit 4.060955 5.146796 13.26871 Print Done Print Done