Question: based on the questionnaire below which test should I run? A T-test, pearson's Chi-Square, or a multiple linear regression. Sample questionnaire: 1. Sex: male (please
based on the questionnaire below which test should I run? A T-test, pearson's Chi-Square, or a multiple linear regression.




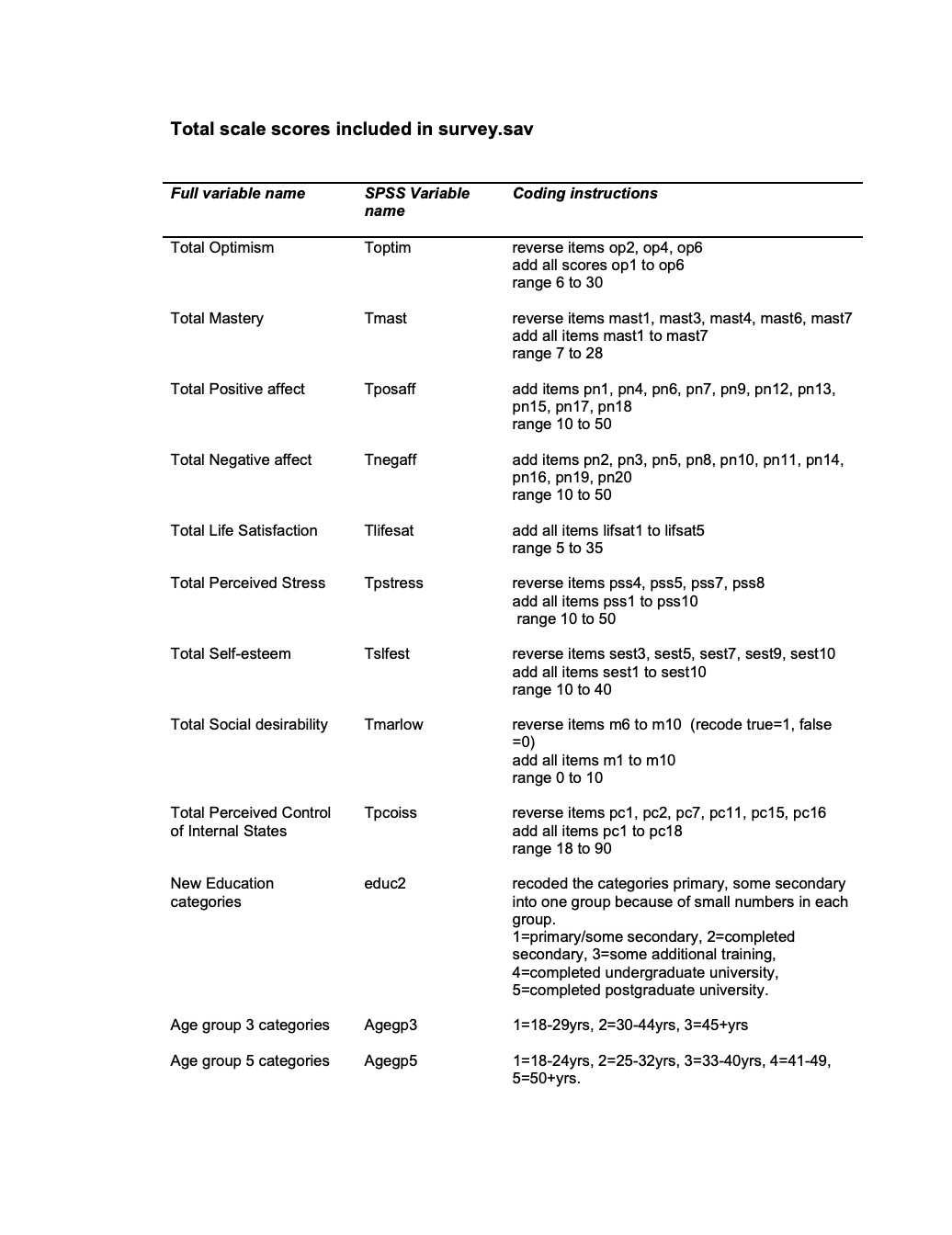
Sample questionnaire: 1. Sex: male (please tick whichever applies) O female 2. Age: (in years) 3. What is your marital status? (please tick whichever applies) 01. single 02. in a steady relationship 03. living with partner 04. married for first time 05. remarried 06. separated 07. divorced 08. widowed 4. Do you have any children currently living at home with you? (please tick) yes no 5. What is the highest level of education that you have completed? (please tick the highest level you have completed) 1. primary school 2. some secondary school 0 3. completed high school J 4. some additional training (apprenticeship, TAFE courses etc.) 5. undergraduate university 0 6. postgraduate university 6. What are the major sources of stress in your life? 7. Do you smoke? (please tick) 1 yes O no If yes, how many cigarettes do you smoke per week?Please read through the following statements and decide how much you either agree or disagree with each. Using the scale provided write the number that best indicates how you feel on the line next to each statement. strongly disagree 1 2 3 5 strongly agree 1. In uncertain times I usually expect the best. 2. If something can go wrong for me it will. 3. I'm always optimistic about my future. 4. I hardly ever expect things to go my way. 5 . Overall I expect more good things to happen to me than bad. 6. I rarely count on good things happening to me. Source: Scheier, Carver & Bridges, 1994. This scale consists of a number of words that describe different feelings and emotions. For each item indicate to what extent you have felt this way during the past few weeks. Write a number from 1 to 5 on the line next to each item. very slightly or not a little moderately quite a bit extremely at all 2 5 1. interested distressed 15. excited 2. upset 9 . strong 16. guilty 3. scared 10. hostile 17. enthusiastic 4. proud 11 . irritable 18. alert 5. ashamed 12 . inspired 19. nervous determined 13 attentive 20 jittery 7 . active 14. afraid Source: Watson, Clark & Tellegen, 1988.Codebook for survey.sav ble name SPSS variable Coding instructions name Identification number ic subject identification number Sex sex 1 = males; 2 = females Age age in years Marital marital 1 = single; 2 = steady relationship; 3 = living with a partner; 4 = married for the first time; 5 = remarried; 6 = separated; 7 = divorced; 8 = widowed Children child 1 = yes; 2 = no Highest level of education educ 1 = primary; 2 = some secondary; 3 = completed high school; 4 = some additional training; 5 = completed undergraduate; 6 = completed postgraduate. Major source of stress source 1 = work; 2 = spouse or partner; 3 = relationships; 4 = children; 5 = family; 6 = health / illness; 7 = life in general Do you smoke? smoke 1 = yes; 2 = no Cigarettes smoked per week smokenum Number of cigarettes smoked per week Optimism Scale op1 to op6 1=strongly disagree , 5=strongly agree Mastery Scale mast1 to mast7 1=strongly disagree , 4=strongly agree PANAS Scale pn1 to pn20 1=very slightly, 5=extremely Life Satisfaction Scale lifsat1 to lifsat5 1=strongly disagree , 7=strongly agree Perceived Stress Scale pss1 to pss 10 1=never, 5=very often Self esteem Scale sest1 to sest10 1=strongly disagree , 4=strongly agree Marlowe-Crowne Social m1 to m10 1=true, 2=false Desirability Scale Perceived Control of Internal pc1 to pc18 1=strongly disagree, 5=strongly agree States Scale (PCOISSTotal scale scores included in survey.sav Full variable name SPSS Variable Coding instructions name Total Optimism Toptim erse items op2, op4, op6 add all scores op1 to op6 range 6 to 30 Total Mastery Tmast reverse items mast1, mast3, mast4, mast6, mast7 add all items mast1 to mast/ range 7 to 28 Total Positive affect Tposaff add items pn1, pn4, pn6, pn7, pn9, pn12, pn13, pn15, pn17, pn18 range 10 to 50 Total Negative affect Tnegaff add items pn2, pn3, pn5, pn8, pn10, pn11, pn14, pn16, pn19, pn20 range 10 to 50 Total Life Satisfaction Tlifesat add all items lifsat1 to lifsat5 range 5 to 35 Total Perceived Stress Tpstress reverse items pss4, pss5, pss7, pss8 add all items pss1 to pss10 range 10 to 50 Total Self-esteem Tslfest reverse items sest3, sest5, sest7, sest9, sest10 add all items sest1 to sest10 range 10 to 40 Total Social desirability Tmarlow reverse items m6 to m10 (recode true=1, false =0 add all items m1 to m10 range 0 to 10 Total Perceived Control Tpcoiss reverse items pc1, pc2, pc7, pc11, pc15, pc16 of Internal States add all items pc1 to pc18 range 18 to 90 New Education educ2 recoded the categories primary, some secondary categories into one group because of small numbers in each group. 1=primary/some secondary, 2=completed secondary, 3=some additional training, 4=completed undergraduate university, 5=completed postgraduate university. Age group 3 categories Agegp3 1=18-29yrs, 2=30-44yrs, 3=45+yrs Age group 5 categories Agegp5 1=18-24yrs, 2=25-32yrs, 3=33-40yrs, 4=41-49, 5=50+yrs
Step by Step Solution
There are 3 Steps involved in it
Get step-by-step solutions from verified subject matter experts
