Question: Question 4 - Ch. 2 Homework - Connect X G https://ezto.mheducation.com/ext/map/index.html?_con=con&external_browser=0&launchUrl=https%253A%252F%252Fnewconnect.mheducation.co... . . . Ch. 2 Homework SEVER Help Save & Exit Submit Check my





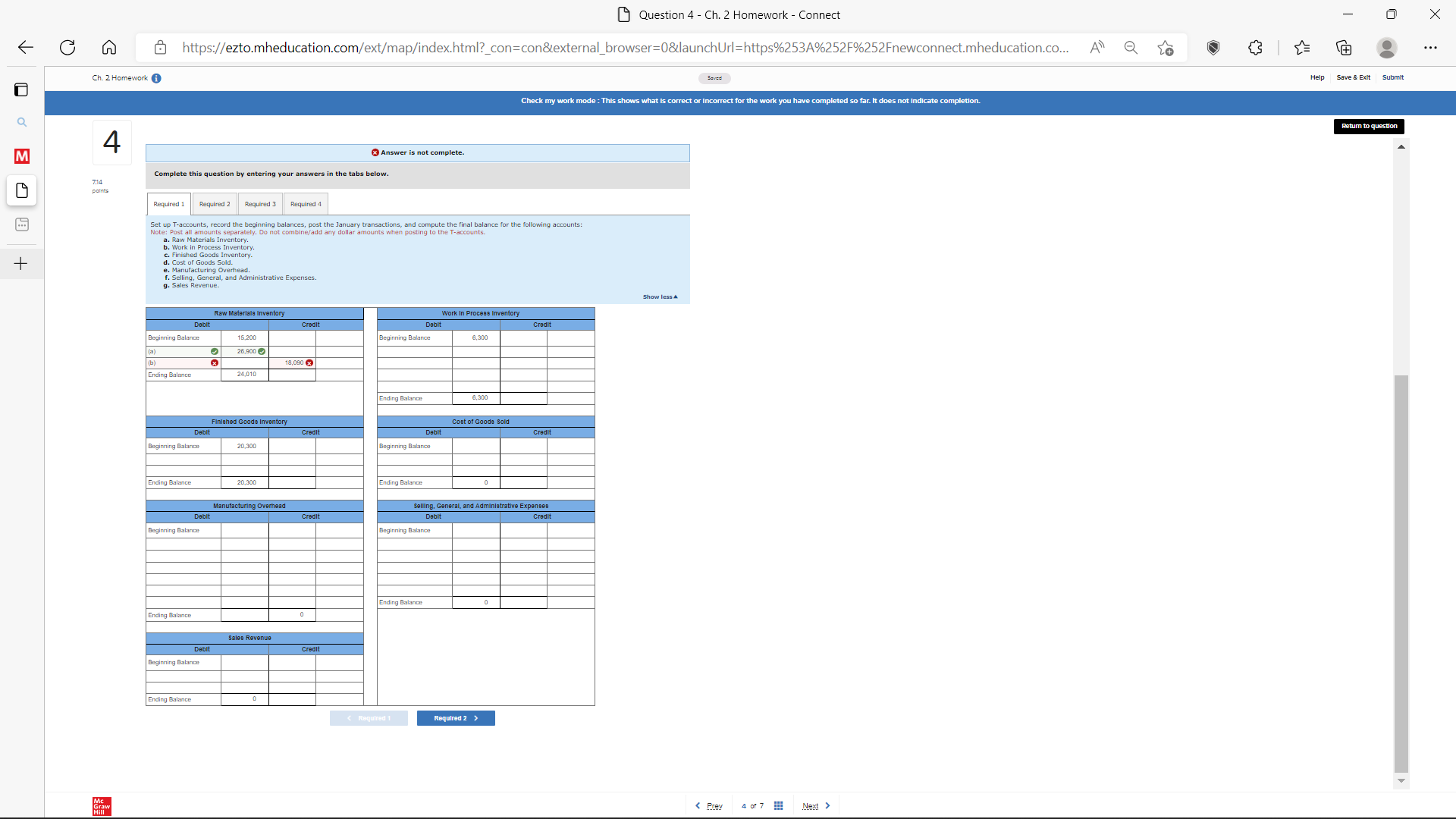
Question 4 - Ch. 2 Homework - Connect X G https://ezto.mheducation.com/ext/map/index.html?_con=con&external_browser=0&launchUrl=https%253A%252F%252Fnewconnect.mheducation.co... . . . Ch. 2 Homework SEVER Help Save & Exit Submit Check my work mode : This shows what is correct or Incorrect for the work you have completed so far. It does not Indicate completion. 4 Return to question M Answer is not complete. Complete this question by entering your answers in the tabs below. 714 points Required 1 Required 2 Required 3 Required 4 Set up T-accounts, record the beginning balances, post the January transactions, and compute the final balance for the following accounts: Note: Post all amounts separately. Do not combine/add any dollar amounts when posting to the T-accounts. b. Work in Process Inventory C. Finished Goods Inventory. + d. Cost of Goods Sold. e. Manufacturing Overhead. f. Selling, General, and Administrative Expenses. g. Sales Revenue. Show less A Raw Materiale Inventory Work In Process Inventory Debit Debit Credit Beginning Balance 15,200 Beginning Balance 6,300 (a) 26,900 (b) 18,090 Ending Balance 24,010 Ending Balance 6,300 Finished Goods Inventory Cost of Goods Sold Debit Debit Credit Beginning Balance 20,300 Beginning Balance Ending Balance 20,300 Ending Balance Manufacturing Overhead Selling, General, and Administrative Expenses Debit Credit Debit Credit Beginning Balance Beginning Balance Ending Balance Ending Balance Sales Revenue Debit Credit Beginning Balance Ending Balance Question 4 - Ch. 2 Homework - Connect O X G https://ezto.mheducation.com/ext/map/index.html?_con=con&external_browser=0&launchUrl=https%253A%252F%252Fnewconnect.mheducation.co.. Ch. 2 Homework Saved Help Save & Exit Submit a Check my work mode : This shows what is correct or Incorrect for the work you have completed so far. It does not indicate completion. M Return to question 4 $3,300 for sales commissions d. Recorded depreciation: $4,300 for factory machines, $1,200 for the copier used in the administrative office. e. Recorded $1,400 of expired insurance. Forty percent was insurance on the manufacturing facility, with the remainder classified as an administrative expense. f. Paid $5,400 in other factory costs in cash. 7.14 g. Applied manufacturing overhead at a rate of 200 percent of direct labor cost. points + . Completed all jobs but one; the job cost sheet for the uncompleted job shows $2,300 for direct materials, $2,200 for direct labor, and $4,400 for applied overhead. 1. Sold Jobs costing $51,500. The revenue earned on these jobs was $66,950. Required: 1. Set up T-accounts, record the beginning balances, post the January transactions, and compute the final balance for the following accounts a. Raw Materials Inventory. b. Work In Process Inventory. c. Finished Goods Inventory. d. Cost of Goods Sold e. Manufacturing Overhead f. Selling, General, and Administrative Expenses. g. Sales Revenue. 2. Determine how much gross profit the company would report during the month of January before any adjustment is made for the overhead balance. 3. Determine the amount of over- or underapplied overhead. 4. Compute adjusted gross profit assuming that any over- or underapplied overhead balance is adjusted directly to Cost of Goods Sold. x Answer is not complete. Complete this question by entering your answers in the tabs below. Required 1 Required 2 Required 3 Required 4 Determine how much gross profit the company would report during the month of January before any adjustment is made for the overhead balance. Unadjusted Gross Profit Question 4 - Ch. 2 Homework - Connect O X G https://ezto.mheducation.com/ext/map/index.html?_con=con&external_browser=0&launchUrl=https%253A%252F%252Fnewconnect.mheducation.co.. Ch. 2 Homework Saved Help Save & Exit Submit a Check my work mode : This shows what is correct or Incorrect for the work you have completed so far. It does not indicate completion. M Return to question 4 $3,300 for sales commissions d. Recorded depreciation: $4,300 for factory machines, $1,200 for the copier used in the administrative office. e. Recorded $1,400 of expired insurance. Forty percent was insurance on the manufacturing facility, with the remainder classified as an administrative expense. f. Paid $5,400 In other factory costs in cash 7.14 g. Applied manufacturing overhead at a rate of 200 percent of direct labor cost. points + h. Completed all jobs but one; the Job cost sheet for the uncompleted job shows $2,300 for direct materials, $2,200 for direct labor, and $4,400 for applied overhead. 1. Sold jobs costing $51,500. The revenue earned on these jobs was $66,950. Required: 1. Set up T-accounts, record the beginning balances, post the January transactions, and compute the final balance for the following accounts: a. Raw Materials Inventory. b. Work In Process Inventory. c. Finished Goods Inventory. d. Cost of Goods Sold. e. Manufacturing Overhead f. Selling, General, and Administrative Expenses. g. Sales Revenue. 2. Determine how much gross profit the company would report during the month of January before any adjustment is made for the overhead balance. 3. Determine the amount of over- or underapplied overhead. 4. Compute adjusted gross profit assuming that any over- or underapplied overhead balance is adjusted directly to Cost of Goods Sold. x Answer is not complete. Complete this question by entering your answers in the tabs below. Required 1 Required 2 Required 3 Required 4 Determine the amount of over- or underapplied overhead. Manufacturing Overhead Gray Question 4 - Ch. 2 Homework - Connect O X G https://ezto.mheducation.com/ext/map/index.html?_con=con&external_browser=0&launchUrl=https%253A%252F%252Fnewconnect.mheducation.co.. Ch. 2 Homework Saved Help Save & Exit Submit a Check my work mode : This shows what is correct or Incorrect for the work you have completed so far. It does not indicate completion. M Return to question 4 $3,300 for sales commissions d. Recorded depreciation: $4,300 for factory machines, $1,200 for the copier used in the administrative office. e. Recorded $1,400 of expired insurance. Forty percent was insurance on the manufacturing facility, with the remainder classified as an administrative expense. f. Paid $5,400 in other factory costs in cash. 7.14 g. Applied manufacturing overhead at a rate of 200 percent of direct labor cost. points + . Completed all jobs but one; the Job cost sheet for the uncompleted job shows $2,300 for direct materials, $2,200 for direct labor, and $4,400 for applied overhead. 1. Sold Jobs costing $51,500. The revenue earned on these jobs was $66,950. Required: 1. Set up T-accounts, record the beginning balances, post the January transactions, and compute the final balance for the following accounts a. Raw Materials Inventory. b. Work In Process Inventory. c. Finished Goods Inventory. d. Cost of Goods Sold e. Manufacturing Overhead f. Selling, General, and Administrative Expenses. g. Sales Revenue. 2. Determine how much gross profit the company would report during the month of January before any adjustment is made for the overhead balance. 3. Determine the amount of over- or underapplied overhead. 4. Compute adjusted gross profit assuming that any over- or underapplied overhead balance is adjusted directly to Cost of Goods Sold. * Answer is not complete. Complete this question by entering your answers in the tabs below. Required 1 Required 2 Required 3 Required 4 Compute adjusted gross profit assuming that any over- or underapplied overhead balance is adjusted directly to Cost of Goods Sold. Adjusted Gross Profit HillQuestion 4 - Ch. 2 Homework - Connect O X G https://ezto.mheducation.com/ext/map/index.html?_con=con&external_browser=0&launchUrl=https%253A%252F%252Fnewconnect.mheducation.co.. Ch. 2 Homework Saved Help Save & Exit Submit a Check my work mode : This shows what is correct or Incorrect for the work you have completed so far. It does not indicate completion. M Return to question 4 Christopher's Custom Cabinet Company uses a job order cost system with overhead applied as a percentage of direct labor costs. Inventory balances at the beginning of the current year follow: 7.14 Raw Materials Inventory $ 15, 200 points Work in Process Inventory 6, 300 + Finished Goods Inventory 20, 300 The following transactions occurred during January: a. Purchased materials on account for $26,900. 6. Issued materials to production totaling $20,100, 90 percent of which was traced to specific jobs and the remainder of which was treated as indirect materials. c. Payroll costs totaling $19,000 were recorded as follows: $11,800 for assembly workers $2,200 for factory supervision $1,700 for administrative personnel $3,300 for sales commissions d. Recorded depreciation: $4,300 for factory machines, $1,200 for the copier used in the administrative office. e. Recorded $1,400 of expired insurance. Forty percent was insurance on the manufacturing facility, with the remainder classified as an administrative expense. f. Paid $5,400 in other factory costs in cash. g. Applied manufacturing overhead at a rate of 200 percent of direct labor cost. . Completed all jobs but one; the job cost sheet for the uncompleted job shows $2,300 for direct materials, $2,200 for direct labor, and $4,400 for applied overhead. 1. Sold Jobs costing $51,500. The revenue earned on these jobs was $66,950. Required: 1. Set up T-accounts, record the beginning balances, post the January transactions, and compute the final balance for the following accounts: a. Raw Materials Inventory. b. Work in Process Inventory. c. Finished Goods Inventory. d. Cost of Goods Sold. . Manufacturing Overhead. f. Selling, General, and Administrative Expenses. g. Sales Revenue. 2. Determine how much gross profit the company would report during the month of January before any adjustment is made for the overhead balance. 3. Determine the amount of over- or underapplied overhead. 4. Compute adjusted gross profit assuming that any over- or underapplied overhead balance is adjusted directly to Cost of Goods Sold. x Answer is not complete. Gray Hill
Step by Step Solution
There are 3 Steps involved in it
Get step-by-step solutions from verified subject matter experts
