Question: using the site plans below construct a detailed cost estismte La MELO HLAVA URGISI TE PLAN NOTES EROTICOTTONS HOTE SITE PLAN OVERALL TE ANALYS M

using the site plans below construct a detailed cost estismte using the site plans below construct a detailed
using the site plans below construct a detailed
using the site plans below construct a detailed
using the site plans below construct a detailed
using the site plans below construct a detailed
using the site plans below construct a detailed
using the site plans below construct a detailed
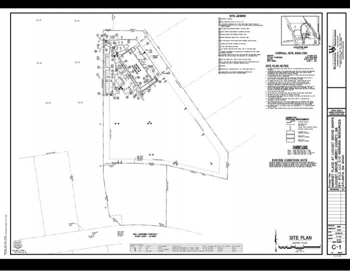
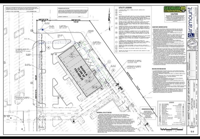
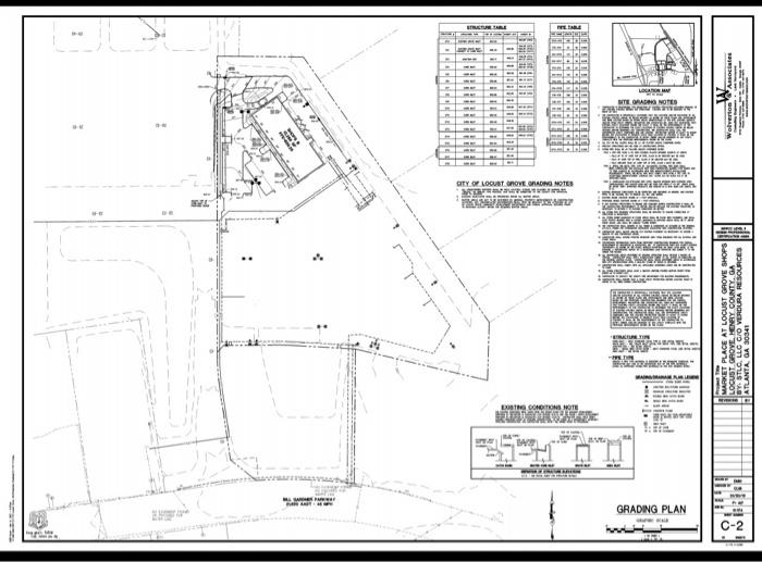
La MELO HLAVA URGISI TE PLAN NOTES EROTICOTTONS HOTE SITE PLAN OVERALL TE ANALYS M .. C-1 . Arociates MARKET PLACE AT LOCUST GROVE SHOPS LOCUST GROVE ENBE COUNTY GAS ATLANTA, GA 30348 DY. STLC, LLC CHO VEROURA RESOURCES :::!! EUR NEARE Asociates LOUBON MTE OMAD NOTES TILI AR CITY OF LOCUST SROVE SONO NOTES MOVE TAR w MARKET PLACE AT LOCUST GROVE SHOPS LOCUST GROVE HENRY COUNTY. GA STLG LCCIO VERDURA RESOURCES TATLANTA, GA 30341 MIL WEB " MAX DLAR MAAR ET CONDITIONS NOT 23:31 GRADING PLAN C-2 NU CP ET N21 YT Sale FFE=859.25 13,286 SF SHOPS B AN OOO O O 00 LARS UTILITY LEGEND ta) RES CAUTION GEORGIA 811 SEE 04 MARKETPLACE @LOCUST GROVE SHOPS UTILITY PLAN HCOAT SCHON Paramount WELLNESS TAG , LLC C / O VERDURA RESOURCES * tra ROY 428 BY . STOP ALIV. GREEMENT w .. WY AIR w SITE PLAN DETAILS STOP : " M D-1A UST.GROVE. PENRY COUNTY, GA MARKETPLACE AT LOCUST GROVE SHOPS GA Wolverton . Ter wand RELATED ga w STWO TAVU w 8. ES NEW . ICAL UR DRAINAGE DETAILS GRADING AND D-2A MARKET PLACE AT LOCUST GROVE SHOPS LOCUST GROVE, HENRY COUNTY, GA DY. STLC, LLC CIO VERDURA RESOURCES ATLANTA, GA 30341 JOUR - MA w N. KATI PAN WERS FOR UTILITY PLAN DETAILS VA D-3A LOCUST GROVE. HENRY COUNTY, GA MARKET PLACE AT LOCUST GROVE SHOPS SYSTLCLLCCIO VERDURA RESOURCES DATLANTA, GA 30347 Waren. URL ATLANTA GA 30341 TE PEVOTE FIRE DEPARTMENT CONNECTION UTILITY PLAN DETAILS D-3B INT MARKET PLACE AT LOCUST GROVE SHOPS LOCUST GROVE. HENRY COUNTY. GA CO VERDURA RESOURCES - RE La MELO HLAVA URGISI TE PLAN NOTES EROTICOTTONS HOTE SITE PLAN OVERALL TE ANALYS M .. C-1 . Arociates MARKET PLACE AT LOCUST GROVE SHOPS LOCUST GROVE ENBE COUNTY GAS ATLANTA, GA 30348 DY. STLC, LLC CHO VEROURA RESOURCES :::!! EUR NEARE Asociates LOUBON MTE OMAD NOTES TILI AR CITY OF LOCUST SROVE SONO NOTES MOVE TAR w MARKET PLACE AT LOCUST GROVE SHOPS LOCUST GROVE HENRY COUNTY. GA STLG LCCIO VERDURA RESOURCES TATLANTA, GA 30341 MIL WEB " MAX DLAR MAAR ET CONDITIONS NOT 23:31 GRADING PLAN C-2 NU CP ET N21 YT Sale FFE=859.25 13,286 SF SHOPS B AN OOO O O 00 LARS UTILITY LEGEND ta) RES CAUTION GEORGIA 811 SEE 04 MARKETPLACE @LOCUST GROVE SHOPS UTILITY PLAN HCOAT SCHON Paramount WELLNESS TAG , LLC C / O VERDURA RESOURCES * tra ROY 428 BY . STOP ALIV. GREEMENT w .. WY AIR w SITE PLAN DETAILS STOP : " M D-1A UST.GROVE. PENRY COUNTY, GA MARKETPLACE AT LOCUST GROVE SHOPS GA Wolverton . Ter wand RELATED ga w STWO TAVU w 8. ES NEW . ICAL UR DRAINAGE DETAILS GRADING AND D-2A MARKET PLACE AT LOCUST GROVE SHOPS LOCUST GROVE, HENRY COUNTY, GA DY. STLC, LLC CIO VERDURA RESOURCES ATLANTA, GA 30341 JOUR - MA w N. KATI PAN WERS FOR UTILITY PLAN DETAILS VA D-3A LOCUST GROVE. HENRY COUNTY, GA MARKET PLACE AT LOCUST GROVE SHOPS SYSTLCLLCCIO VERDURA RESOURCES DATLANTA, GA 30347 Waren. URL ATLANTA GA 30341 TE PEVOTE FIRE DEPARTMENT CONNECTION UTILITY PLAN DETAILS D-3B INT MARKET PLACE AT LOCUST GROVE SHOPS LOCUST GROVE. HENRY COUNTY. GA CO VERDURA RESOURCES - RE

Step by Step Solution

There are 3 Steps involved in it

1 Expert Approved Answer
Step: 1 Unlock blur-text-image
Question Has Been Solved by an Expert!

Get step-by-step solutions from verified subject matter experts

Step: 2 Unlock
Step: 3 Unlock

Students Have Also Explored These Related General Management Questions!